/
【前面道路含む現地写真】接道は広く日中の交通量は少なめです
- 物件名
- 那須塩原市四区町土地
- 価格
- 248万円
- 土地面積
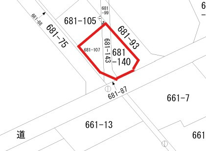
- 325.94㎡
- 築年月
- -(-)
- 総区画数
- -
- 設備条件
-
- 設備(その他)
-
-
前面道路等からの水道管の引き込みが必要です
浄化槽の設置が必要な地域となります。
- 駐車場/月額
- -/-
- 土地権利
- 所有権
- 国土法届出
- 不要
- 用途地域
- 無指定
- 区画数
- - / -
- 管理形態
- -
- 管理員の勤務形態
- -
- 管理会社
- -
- 取引態様
- 一般媒介
- 引渡し
- 相談
- 開発許可番号
- -
- 備考
- 角地なので空き巣も入りにくく、防犯面でも安心です。広さの心配がいらない土地面積325.94㎡(公簿)。土地購入を考えている方、一度チェックして頂きたいのがこちらの売地です。当社までのお問い合わせなら0120-009-396、contact@sakura-juken.comまでいつでもお待ちしております。那須塩原市にある東北本線西那須野周辺エリアならお任せくださいませ。
那須塩原市四区町土地の基本情報
那須塩原市四区町土地の詳細情報
那須塩原市四区町土地のコメント(おすすめポイント)
ぜひ一度見ていただきたい、「那須塩原市四区町土地」です。徒歩10分の場所に那須塩原市立西小学校があります。角地は2方向以上が道路になるため、ほかの建物との隣接面が少ないのが特徴です。土地面積は325.94㎡(公簿)で一押しです。さくら住建では、東北本線西那須野周辺の土地情報を数多く紹介しております。contact@sakura-juken.comまでお問い合わせくださいませ。
那須塩原市四区町土地で募集中の物件
那須塩原市四区町土地
